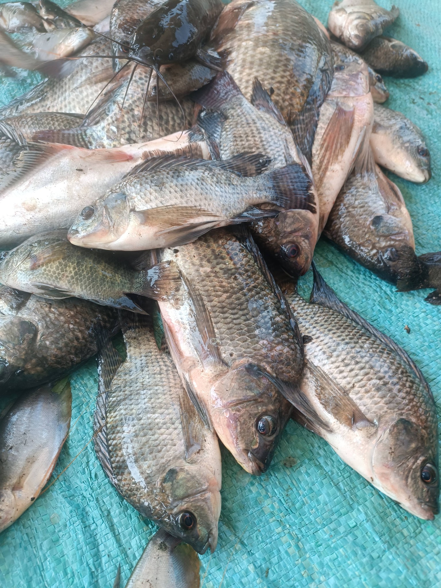
Cá rô sống mới đánh bắt size 2–3 con/kg là dòng cá đồng được tiêu thụ rất mạnh tại quán ăn dân dã, nhà hàng món Việt và bếp tiệc nhờ thịt săn chắc, vị ngọt tự nhiên và dễ chế biến. Cá rô đánh bắt tự nhiên có thân dày, da sậm màu, thịt chắc hơn cá nuôi, khi chế biến không bở, không tanh. Size 2–3 con/kg là size chuẩn, dễ định lượng khẩu phần và lên món đẹp. VIFOOD chuyên bán sỉ cá rô sống giá tốt, cá được thu gom theo ngày, giữ sống khỏe, giao nhanh tại TP.HCM và hỗ trợ gửi đi tỉnh.
Cá rô sống mới đánh bắt size 2–3 con/kg là dòng cá đồng tự nhiên được tiêu thụ mạnh tại quán ăn dân dã, nhà hàng món Việt và bếp tiệc. Cá sống khỏe, thịt săn chắc, vị ngọt tự nhiên, rất được ưa chuộng nhờ dễ chế biến – dễ bán – giá sỉ ổn định.
Cá rô đánh bắt tự nhiên miền Tây có thân dày, da sậm màu, thịt chắc hơn cá nuôi công nghiệp, khi chế biến không bở, không tanh. Size 2–3 con/kg là size chuẩn, dễ định lượng khẩu phần và lên món đẹp.
| Thuộc tính | Thông tin |
|---|---|
| Tên sản phẩm | Cá rô sống mới đánh bắt |
| Size | 2 – 3 con/kg |
| Tình trạng | Còn sống – khỏe – phản xạ tốt |
| Nguồn gốc | Đánh bắt tự nhiên (miền Tây) |
| Quy cách giao | Bao oxy / thùng nhựa giữ sống |
| Đối tượng | Quán ăn – nhà hàng – bếp tiệc – vựa cá |
Cá rô sống size 2–3 con/kg là size được các bếp ăn chuyên nghiệp ưu tiên vì cá không quá nhỏ, không quá lớn, thịt dày, dễ làm sạch và chia phần. Cá được thu gom theo ngày từ nguồn đánh bắt tự nhiên, giữ sống khỏe trước khi giao.
Với ưu điểm thịt chắc – ngọt – ít mỡ, cá rô đồng rất phù hợp cho các món kho, chiên, nấu canh, giúp giữ chân thực khách và tối ưu chi phí nguyên liệu.
VIFOOD chuyên bán sỉ cá rô sống giá tốt, nguồn hàng ổn định mỗi ngày, giao nhanh tại TP.HCM và hỗ trợ gửi đi tỉnh.

Hình ảnh: Cá rô sống mới đánh bắt – hàng sỉ tại VIFOOD

Hình ảnh: Các món ăn dân dã từ cá rô đồng
| Sản phẩm | Size | Đơn vị | Giá sỉ (VNĐ/kg) |
|---|---|---|---|
| Cá rô sống | 2 – 3 con/kg | Kg | 95.000 – 115.000 |
CÔNG TY TNHH TM DV VIFOOD là đối tác cung cấp sỉ cá đồng sống cho nhiều quán ăn, nhà hàng và vựa cá. Cá rô luôn được kiểm soát kỹ về độ sống, size và giá bán mỗi ngày.
VIFOOD cam kết: Cá rô sống khỏe – đúng size – nguồn ổn định mỗi ngày – giá sỉ cạnh tranh, là đối tác lâu dài của quán ăn, nhà hàng và vựa cá đồng trên toàn quốc.
Bình luận (0)
Gửi bình luận